• 0 (414) 347 72 38
  • info@karakopru.bel.tr
  • Çankaya Mah. Gaffar Okan Cad. Karaköprü
  • Belediyemiz
    • Meclis Üyeleri
    • Başkan Yardımcıları
    • Komisyonlar
    • Meclis Kararları
    • Faaliyet Planı
    • Performans Planı
    • Stratejik Plan
    • KVKK
  • Karaköprü
    • Nüfus Yapısı
    • Tarihi ve Bugünü
    • Coğrafyamız
    • Sosyal Tesislerimiz
    • Taziye Evlerimiz
  • Hizmetlerimiz
    • Lezzetler Sokağı
    • Meslek ve Hobi Kursları
    • Emekliler Yaşam Merkezi
    • Fidan Üretim Merkezi
    • Hayvan Bakım Evi
    • Kütüphaneler ve Okuma Evleri
    • Semt Pazarları
  • Kültür Sanat
    • Okuma Evlerimiz
    • Eğitimler
    • Müzelerimiz
    • Etkinlikler
  • İletişim
  • Anasayfa
  • Duyurular
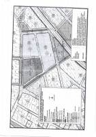
  • Uygulama İmar Planı Karaköprü (Batıkent) Mahallesi 2682 ve 2683 nolu Parseller ve Çevresi İlanı

Uygulama İmar Planı Karaköprü (Batıkent) Mahallesi 2682 ve 2683 nolu Parseller ve Çevresi İlanı


Oluşturulma Tarihi : 12.03.2026 08:32

Foto Galeri


Facial mask
Facial mask
Facial mask
Facial mask
Facial mask

Diğer İçerikler


MART 2026 MECLİS KARAR ÖZETLERİ
Uygulama İmar Planı Karaköprü (Doğukent) Mahallesi 5936/7-8-9-10-11 nolu Parseller ve Çevresi İlanı
Yusufkuyu Konaklamasız Orman Parkındaki Gelir Getirici Tesislerin İşletmeciliğinin İşletme Hakkının 20 (yirmi) Yıllığına Kiraya Verilmesi İşi İhalesi İlanı(OGM)
MART 2026 MECLİS İLANI
  • Belediyemiz
  • Karaköprü
  • Hizmetlerimiz
  • Kültür Sanat
  • Projelerimiz
  • Karamek

© 
Karaköprü Belediyesi - Bilgi İşlem